賃貸条件
| 賃料 | 1,342,593円(税別) |
|---|---|
| 坪単価 | 3,696円 |
| 敷金(保証金) | 3ヶ月 |
| 礼金 | 1ヶ月 |
| 使用開始日 | 即日 |
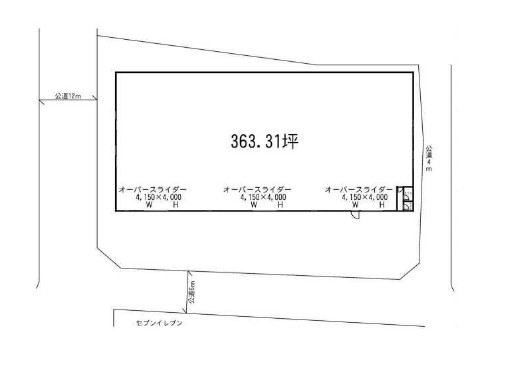
物件概要
| 物件所在地 | 神奈川県相模原市緑区大島 |
|---|---|
| 建物床面積 | 363.31坪(1,201.03m2) |
| 敷地面積 | 549.34坪(1,816.00m2) |
| 建物面積内訳 |
倉庫:363.31坪 |
| 建物構造 |
鉄骨造 |
| 軒高 | - |
| 用途地域 | 第一種住居地域 |
| 前面道路幅員 | 12.00m |
| 建物階数 |
平家建 |
| 備考 | トイレ、オーバースライダー(W=4.15m×H=4m)3ヶ所 |
周辺地図
※周辺地図ですので、実際の所在地とは異なる場合がございます。


